Trilocale in vendita

Castagnole Piemonte, Via tripoli
€ 169.000
Prezzo aggiornato
3 locali 3 locali
75 Mq 75 Mq
1 bagno 1 bagno

Trilocale in vendita

Castagnole Piemonte, Via tripoli

Descrizione annuncio

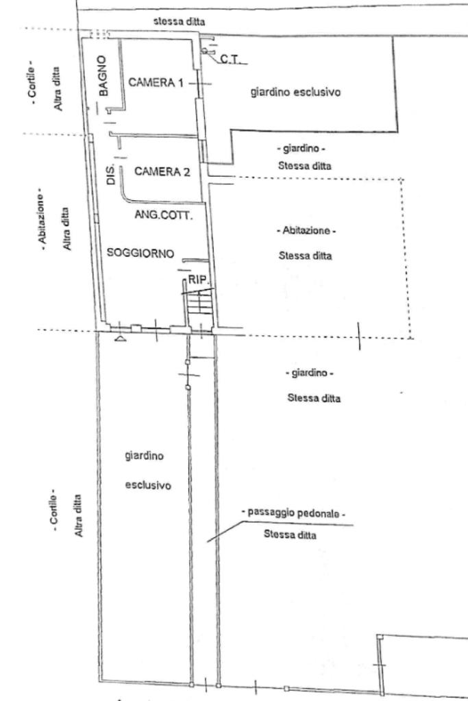
L’abitazione si trova all’interno di un tranquillo contesto quadrifamiliare di recente costruzione, proprio nel centro del paese. Essendo al piano terra, gode del piacere di una una comoda area terrazzata, perfetta per pranzare all’aperto o rilassarsi, e una piacevole zona verde che dona respiro e privacy. Entrando, si viene accolti da una zona giorno luminosa e ordinata, dove soggiorno e area pranzo convivono in un ambiente unico e funzionale. Un corridoio accompagna verso la zona notte, dove si trovano due camere e il bagno, tutti mantenuti in ottimo stato. Una delle qualità che rendono questa soluzione particolarmente interessante è la sua gestione semplice: la casa richiede poca manutenzione e i costi di riscaldamento sono contenuti. Lo spazio esterno privato rappresenta poi un valore aggiunto importante, perché permette di godere appieno della bella stagione e di avere un angolo all’aperto dove trascorrere il tempo in relax.

Mostra tutto

Nelle vicinanze

Ricariche auto elettriche Ricariche auto elettriche
Municipio di Castagnole | EnelX
270 m
Castagnole Paschetto | EnelX
300 m
Castagnole Trento | EnelX
520 m
Castagnole Piemonte Martiri Libertà | EnelX
670 m
Farmacia Farmacia
Farmacia
290 m
Mostra tutto

Caratteristiche

Rif.:
61145785
Piano:
Terra di 2
Totale piani:
2
Box:
1
Camere da letto:
2
Arredamento:
Assente
Mostra tutto
Prezzo Prezzo
€ 169.000
Rata mutuo Rata mutuo
€ 797 / mese
Spese annue Spese annue
€ 0
Proponi il tuo prezzoProponi il tuo prezzo
Immobile valutato con T·Valuta

Classe Energetica

E
E
E
E
E
E
E
E
E
EP globale non rinnovabile:
127.49 kW h/m² anno
EP globale rinnovabile:
1.01 kW h/m² anno
EP invernale del fabbricato:
EP estiva del fabbricato:
Anno di costruzione:
2006
Riscaldamento:
Autonomo
Tipo impianto:
A radiatori
Tipo alimentazione:
Metano

Prezzo ridotto di €1 (9%%)

Ti interessa visionare l'immobile?

Fissa un appuntamento  Fissa un appuntamento

Richiedi informazioni

Clicca su Leggi per aprire l'informativa
* Questi campi sono obbligatori

Calcola il tuo mutuo

Semplice e senza impegno
Anticipo

( % )
Mutuo

( % )

pochi semplici passi

inserisci i tuoi dati
Questionario completato
Grazie per aver richiesto un appuntamento senza impegno con un nostro Consulente del Credito e Assicurativo.

Hai inserito correttamente tutti i dati necessari e a breve riceverai una e-mail con un link da convalidare per inviare i tuoi dati.
Affiliato
Immobiliare Dama Sas
Via Roma, 22/C 10060 None (TO)

Il nostro staff


  • Margherita Benetti
    Coordinatrice

  • Daniele Galluzzo
    Affiliato

  • Marika Ramaglia
    Affiliata
Via Roma, 22/C 10060 None (TO)
Zona: None-Airasca-Castagnole Piemonte
Mostra su mappa
Orari: Dal lunedì al venerdì 9.00 - 12.30 - 15.00 - 19.30; sabato 9.00 -17.00 orario continuato
Affiliato
Immobiliare Dama Sas
Via Roma, 22/C 10060 None (TO)

2026 Tecnocasa Franchising S.p.A. - P. IVA 08365160152 - Via Monte Bianco 60/A 20089 Rozzano (MI). Ogni agenzia ha un proprio titolare ed è autonoma. Privacy policy | Policy utilizzo | Cookie policy